自宅 0294ー52ー3504
携帯(大輔船長) 090-4523-9427
携帯(良平船長) 080ー6735ー3030
★茨城県日立久慈港の大さん弘漁丸です❗️テンヤ真鯛釣りに地域最大19トン大型快適船を含め2隻で平日も毎日出船中❗️8名様から貸切船も可能です❗️テンヤ真鯛専用貸し竿も沢山あります❗️真鯛を釣りたい方はぜひ日立沖、日立久慈漁港大さん弘漁丸で一緒に楽しみましょう❗️船の前に5時10分集合でお願いします❗️12月1日、日立沖ヒラメ解禁❗️予約受付中❗️❗️★

茨城県日立久慈港の大さん弘漁丸です。全国でも珍しく、花札を使って釣り座の抽選を行います。遠くから来るお客様も集合時間までにゆっくりお越しください。助手もいますので、初心者の方も安心してお越しください。親切指導します。日立沖の魚釣りはお任せください。釣果にも自信があります。どうぞお気軽にお問い合わせください。お待ちしています。

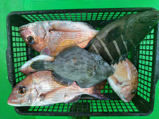
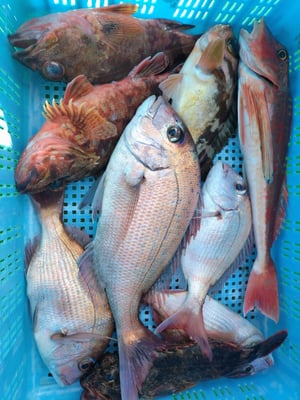
☆11月9日(日) テンヤ真鯛釣りに出船❗️❗️2、2キロ、1、2キロ・・・の真鯛浮上で竿頭12枚❗️明日も出船で空席あります❗️平日も毎日テンヤ真鯛釣りに出船しています❗️12月1日(月)日立沖ヒラメ解禁❗️早めのご予約を❗️よろしくお願いします❗️❗️☆
2、2キロ、1、2キロ、1、0キロ・・・の真鯛浮上で竿頭真鯛12枚!!明日も出船でまだまだ空きあります!!平日も毎日テンヤ真鯛釣りに出船します!探見丸smartも使用可能です。スマートフォンをお持ちの方はアプリをダウンロードして、是非お試しください!大さん弘漁丸オリジナルステッカーを乗船記念に限定配布します!初心者も大歓迎!皆様のお越しを心よりお待ちしております!
マダイ:0〜12枚 (0、3〜2、2キロ)
☆11月8日(土) テンヤ真鯛釣りに出船❗️❗️1、7キロ、1キロ・・・の真鯛GETで竿頭真鯛7枚❗️平日も毎日テンヤ真鯛釣りに出船しています❗️よろしくお願いします❗️☆
2隻で出船!1、7キロ、1キロの真鯛が最大で竿頭真鯛7枚!!明日も出船でまだ沢山空きあります!!平日も毎日テンヤ真鯛釣りに出船します!探見丸smartも使用可能です。スマートフォンをお持ちの方はアプリをダウンロードして、是非お試しください!大さん弘漁丸オリジナルステッカーを乗船記念に限定配布します!初心者も大歓迎!皆様のお越しを心よりお待ちしております!
マダイ:0〜7枚 (0、3〜1、7キロ)
☆11月7日(金) テンヤ真鯛釣りに出船❗️❗️0、9キロの真鯛が最大でした❗️明日も出船、明後日はまだ空き沢山あります❗️平日も毎日テンヤ真鯛釣りに出船しています❗️早めのご予約ありがたいです❗️よろしくお願いします☆
0、9キロの真鯛が最大で竿頭真鯛4枚!!明日も出船、明後日はまだ沢山空きあります!!平日も毎日テンヤ真鯛釣りに出船します!探見丸smartも使用可能です。スマートフォンをお持ちの方はアプリをダウンロードして、是非お試しください!大さん弘漁丸オリジナルステッカーを乗船記念に限定配布します!初心者も大歓迎!皆様のお越しを心よりお待ちしております!
マダイ:0〜4枚 (0、3〜0、9キロ)
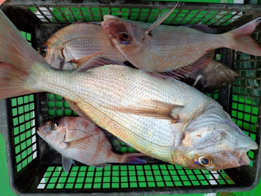
☆11月5日(水) テンヤ真鯛釣りに出船❗️❗️DAIWAの岡崎孝さんが4、9キロの真鯛GET❗️❗️ありがとうございました❗️7日(金)からまた出船❗️週末土日もまだまだ予約受付中です❗️平日も毎日テンヤ真鯛釣りに出船しています❗️よろしくお願いします❗️☆
4、9キロの真鯛浮上で竿頭真鯛9枚!!明日は中止にします!明後日からまた出船します!週末土日もまだ空席あります!平日も毎日テンヤ真鯛釣りに出船します!探見丸smartも使用可能です。スマートフォンをお持ちの方はアプリをダウンロードして、是非お試しください!大さん弘漁丸オリジナルステッカーを乗船記念に限定配布します!初心者も大歓迎!皆様のお越しを心よりお待ちしております!
マダイ:0〜9枚 (0、3〜4、9キロ)
☆11月4日(火) テンヤ真鯛釣りに出船❗️❗️1、4キロ1、2キロ、1、1キロ、1キロ・・・の真鯛浮上で竿頭9枚❗️明日もまだ空き沢山あります❗️平日も毎日テンヤ真鯛釣りに出船しています❗️早めのご予約ありがたいです❗️よろしくお願いします☆
1、4キロ、1、2キロ、1、1キロ、1キロ・・・の真鯛浮上で竿頭真鯛9枚!!明日も出船でまだ空席あります!平日も毎日テンヤ真鯛釣りに出船します!探見丸smartも使用可能です。スマートフォンをお持ちの方はアプリをダウンロードして、是非お試しください!大さん弘漁丸オリジナルステッカーを乗船記念に限定配布します!初心者も大歓迎!皆様のお越しを心よりお待ちしております!
マダイ:0〜9枚 (0、3〜1、4キロ)
☆11月3日(月) テンヤ真鯛釣りに出船❗️❗️2、7キロ、2キロ・・・の真鯛浮上❗️明日も出船でまだ空き沢山あります❗️平日も毎日テンヤ真鯛釣りに出船しています❗️早めのご予約ありがたいです❗️よろしくお願いします☆
2、7キロ、2、0キロ、1、2キロ、1、1キロ、1キロ・・・の真鯛浮上で竿頭真鯛9枚!!明日も出船でまだ空席あります!平日も毎日テンヤ真鯛釣りに出船します!探見丸smartも使用可能です。スマートフォンをお持ちの方はアプリをダウンロードして、是非お試しください!大さん弘漁丸オリジナルステッカーを乗船記念に限定配布します!初心者も大歓迎!皆様のお越しを心よりお待ちしております!
マダイ:0〜9枚 (0、3〜2、7キロ)
☆11月2日(日) テンヤ真鯛釣りに2隻で出船❗️❗️1、6キロ、1、5キロ、1、2キロ、1、1キロ、1キロ・・・の真鯛浮上❗️明日も出船でまだ空きあります❗️平日も毎日テンヤ真鯛釣りに出船しています❗️早めのご予約ありがたいです❗️よろしくお願いします☆
2隻で出船!1、6キロ、1、5キロ、1、2キロ、1、1キロ・・・の真鯛浮上で竿頭真鯛7枚!!明日も出船でまだ空席あります!平日も毎日テンヤ真鯛釣りに出船します!探見丸smartも使用可能です。スマートフォンをお持ちの方はアプリをダウンロードして、是非お試しください!大さん弘漁丸オリジナルステッカーを乗船記念に限定配布します!初心者も大歓迎!皆様のお越しを心よりお待ちしております!
マダイ:0〜7枚 (0、3〜1、6キロ)
☆10月31日(金) テンヤ真鯛釣りに出船❗️❗️1、2キロ、1、1キロ・・・の真鯛浮上で竿頭真鯛12枚❗️❗️明日は中止❗️明後日からまた出船❗️3日はまだ空席沢山あります❗️平日も毎日テンヤ真鯛釣りに出船しています❗️よろしくお願いします❗️☆
1、2キロ、1、1キロ・・・の真鯛浮上で竿頭真鯛12枚!2番手、11枚!明日は中止で明後日は満席!3日は空席沢山あります!平日も毎日テンヤ真鯛釣りに出船します!探見丸smartも使用可能です。スマートフォンをお持ちの方はアプリをダウンロードして、是非お試しください!大さん弘漁丸オリジナルステッカーを乗船記念に限定配布します!初心者も大歓迎!皆様のお越しを心よりお待ちしております!
マダイ:0〜12枚 (0、3〜1、2キロ)
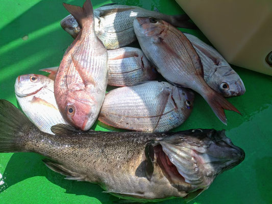
☆10月30日(木) テンヤ真鯛釣りに出船❗️1、9キロ、1、8キロ、1、1キロ、1キロ・・・の真鯛浮上で竿頭真鯛16枚❗️6、1キロのヒラメも❗️明日も出船❗️連休11月1日、2日、3日もまだまだ空きあります❗️平日も毎日テンヤ真鯛釣りに出船しています❗️よろしくお願いします❗️☆
1、9キロ、1、8キロ、1、1キロ、1キロ・・・真鯛浮上で竿頭真鯛16枚!2番手、12枚!ボウズなし!明日も出船!!週末、ご予約もお早めに!平日も毎日テンヤ真鯛釣りに出船します!探見丸smartも使用可能です。スマートフォンをお持ちの方はアプリをダウンロードして、是非お試しください!大さん弘漁丸オリジナルステッカーを乗船記念に限定配布します!初心者も大歓迎!皆様のお越しを心よりお待ちしております!
マダイ:1〜16枚 (0、3〜1、9キロ)
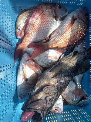
☆10月28日(火) テンヤ真鯛釣りに出船❗️❗️0、9キロの真鯛が最大でした❗明日はお休みで30日(木)からまた出船します❗️11月1日、2日、3日、ご予約お早めに❗️平日も毎日テンヤ真鯛釣りに出船しています❗️早めのご予約ありがたいです❗️よろしくお願いします☆
0、9キロの真鯛が最大で竿頭真鯛3枚!外道はカサゴ、イナダ、アジ、イシダイ、ウマヅラハギ、フグ、ハナダイなど。明日はお休みで明後日からまた出船!!週末、ご予約もお早めに!平日も毎日テンヤ真鯛釣りに出船します!探見丸smartも使用可能です。スマートフォンをお持ちの方はアプリをダウンロードして、是非お試しください!大さん弘漁丸オリジナルステッカーを乗船記念に限定配布します!初心者も大歓迎!皆様のお越しを心よりお待ちしております!
マダイ:0〜3枚 (0、3〜0、9キロ)
☆10月27日(月) テンヤ真鯛釣りに出船❗️❗️明日もテンヤ真鯛釣りに出船❗️11月1日、2日、3日、ご予約お早めに❗️平日も毎日テンヤ真鯛釣りに出船しています❗️早めのご予約ありがたいです❗️よろしくお願いします❗️☆
キロアップは出ず、竿頭真鯛5枚!外道はカサゴ、イナダ、アジ、マダコ、カンダイ、ワカシ、ハタ、ウマヅラハギ、フグ、ハナダイなど。明日もテンヤ真鯛釣りに出船します!週末、ご予約お早めに!平日も毎日テンヤ真鯛釣りに出船します!探見丸smartも使用可能です。スマートフォンをお持ちの方はアプリをダウンロードして、是非お試しください!大さん弘漁丸オリジナルステッカーを乗船記念に限定配布します!初心者も大歓迎!皆様のお越しを心よりお待ちしております!
マダイ:0〜5枚 (0、3〜0、5キロ)
☆10月25日(土) テンヤ真鯛釣りに出船❗️❗️27日(月)からまたテンヤ真鯛釣りに出船します❗️11月1日、2日、3日、ご予約お早めに❗️平日も毎日テンヤ真鯛釣りに出船しています❗️早めのご予約ありがたいです❗️よろしくお願いします❗️☆
1、5キロ、1、1キロ、1キロ・・・の真鯛浮上で竿頭真鯛7枚!明日は休みにします!明後日のテンヤ真鯛釣り、まだ空席多数あります!平日も毎日テンヤ真鯛釣りに出船します!探見丸smartも使用可能です。スマートフォンをお持ちの方はアプリをダウンロードして、是非お試しください!大さん弘漁丸オリジナルステッカーを乗船記念に限定配布します!初心者も大歓迎!皆様のお越しを心よりお待ちしております!
マダイ:0〜7枚 (0、3〜1、5キロ)
☆10月24日(金) テンヤ真鯛釣りに出船❗️キロアップもGET❗️明日も出船❗️❗️平日も毎日テンヤ真鯛釣りに出船しています❗️早めのご予約ありがたいです❗️よろしくお願いします❗️☆
1、2キロ、1、1キロ、1キロ・・・の真鯛浮上で竿頭真鯛8枚!明日も出船!明後日のテンヤ真鯛釣り、まだ空席多数あります!平日も毎日テンヤ真鯛釣りに出船します!探見丸smartも使用可能です。スマートフォンをお持ちの方はアプリをダウンロードして、是非お試しください!大さん弘漁丸オリジナルステッカーを乗船記念に限定配布します!初心者も大歓迎!皆様のお越しを心よりお待ちしております!
マダイ:0〜8枚 (0、3〜1、2キロ)
☆10月19日(日) テンヤ真鯛釣りに出船❗️シケ後、10月24日(金)からまたテンヤ真鯛釣りに出船❗平日も毎日テンヤ真鯛釣りに出船しています❗️早めのご予約ありがたいです❗️よろしくお願いします❗️☆
0、8キロの真鯛が最大で竿頭真鯛6枚!明日は定休日です!明後日からまたテンヤ真鯛釣りに出船します!平日も毎日テンヤ真鯛釣りに出船します!探見丸smartも使用可能です。スマートフォンをお持ちの方はアプリをダウンロードして、是非お試しください!大さん弘漁丸オリジナルステッカーを乗船記念に限定配布します!初心者も大歓迎!皆様のお越しを心よりお待ちしております!
マダイ:0〜6枚 (0、3〜0、8キロ)
☆10月18日(土) テンヤ真鯛釣りに出船❗️明日もテンヤ真鯛釣りに出船でまだ空席あります❗️平日も毎日テンヤ真鯛釣りに出船しています❗️よろしくお願いします❗️❗️☆
0、9キロの真鯛が最大で竿頭真鯛5枚!明日もテンヤ真鯛釣りに出船します!平日も毎日テンヤ真鯛釣りに出船します!探見丸smartも使用可能です。スマートフォンをお持ちの方はアプリをダウンロードして、是非お試しください!大さん弘漁丸オリジナルステッカーを乗船記念に限定配布します!初心者も大歓迎!皆様のお越しを心よりお待ちしております!
マダイ:0〜5枚 (0、3〜0、9キロ)
☆10月12日(日) テンヤ真鯛釣りに出船❗️1キロの真鯛が最大で外道は魚種多彩でした❗️週末土日はまだ空席多数あります❗️平日も毎日テンヤ真鯛釣りに出船予定しています❗️よろしくお願いします❗️☆
1キロの真鯛が最大で竿頭真鯛6枚!外道はハタ、フグ、カサゴ、沖メバル、ホウボウ、カンパチ、ワカシ、ウッカリカサゴ、ハナダイ、アカメフグ、ハナダイ、イナダ、シイラ、ウマヅラハギ、ヒラメなど!平日も毎日テンヤ真鯛釣りに出船します!探見丸smartも使用可能です。スマートフォンをお持ちの方はアプリをダウンロードして、是非お試しください!大さん弘漁丸オリジナルステッカーを乗船記念に限定配布します!初心者も大歓迎!皆様のお越しを心よりお待ちしております!
マダイ:0〜6枚 (0、3〜1、0キロ)
☆10月8日(水) テンヤ真鯛釣りに出船❗️❗️明日、明後日、11日(土)もシケのためお休みします❗️❗️平日も毎日テンヤ真鯛釣りに出船予定しています❗️よろしくお願いします❗️☆
0、8キロの真鯛が最大で竿頭真鯛11枚!明日はシケのためお休みします!平日も毎日テンヤ真鯛釣りに出船します!探見丸smartも使用可能です。スマートフォンをお持ちの方はアプリをダウンロードして、是非お試しください!大さん弘漁丸オリジナルステッカーを乗船記念に限定配布します!初心者も大歓迎!皆様のお越しを心よりお待ちしております!
マダイ:1〜11枚 (0、3〜0、8キロ)
☆10月6日(月) テンヤ真鯛釣りに出船❗️❗️1、3キロの真鯛浮上❗️明日はお休みします❗️明後日また出船します❗️予約受付中です❗️平日も毎日テンヤ真鯛釣りに出船します❗️よろしくお願いします❗️☆
1、3キロの真鯛が最大で竿頭真鯛6枚!明日はシケのためお休みします!平日も毎日テンヤ真鯛釣りに出船します!探見丸smartも使用可能です。スマートフォンをお持ちの方はアプリをダウンロードして、是非お試しください!大さん弘漁丸オリジナルステッカーを乗船記念に限定配布します!初心者も大歓迎!皆様のお越しを心よりお待ちしております!
マダイ:0〜6枚 (0、3〜1、3キロ)
☆10月5日(日) テンヤ真鯛釣りに出船❗️❗️明日もテンヤ真鯛釣りに出船します❗️まだまだ空席あります❗️平日も毎日テンヤ真鯛釣りに出船します❗️よろしくお願いします❗️❗️☆
0、8キロの真鯛が最大で竿頭真鯛8枚!大鯛バラシあり!明日も出船します!早めのご予約ありがたいです!明後日はシケのためお休みします!平日も毎日テンヤ真鯛釣りに出船します!探見丸smartも使用可能です。スマートフォンをお持ちの方はアプリをダウンロードして、是非お試しください!大さん弘漁丸オリジナルステッカーを乗船記念に限定配布します!初心者も大歓迎!皆様のお越しを心よりお待ちしております!
マダイ:0〜8枚 (0、3〜0、8キロ)
☆10月4日(土) テンヤ真鯛釣りに出船❗️❗️4、1キロ、3、1キロ、2、1キロ・・・の真鯛浮上で竿頭真鯛6枚❗️❗️平日も毎日テンヤ真鯛釣りに出船します❗️よろしくお願いします❗️☆
4、1キロ、3、1キロ、2、1キロ・・・の真鯛浮上で竿頭真鯛6枚!明日も明後日もまだまだ空席あります!早めのご予約ありがたいです!平日も毎日テンヤ真鯛釣りに出船します!探見丸smartも使用可能です。スマートフォンをお持ちの方はアプリをダウンロードして、是非お試しください!大さん弘漁丸オリジナルステッカーを乗船記念に限定配布します!初心者も大歓迎!皆様のお越しを心よりお待ちしております!
マダイ:0〜6枚 (0、3〜4、1キロ)
☆10月2日(木) テンヤ真鯛釣りに出船❗️❗️1、6キロ、1、3キロの真鯛浮上で竿頭13枚❗️5日(日)、大さん弘漁丸は7名様のご予約で、弘漁丸は貸切船です❗️まだまだ空きあります❗️予約受付中❗️平日も毎日テンヤ真鯛釣りに出船します❗️よろしくお願いします☆
1、6キロ、1、3キロ・・・の竿頭浮上で竿頭真鯛13枚!!大鯛バラシあり!!週末土日、まだまだ空席あります!平日も毎日テンヤ真鯛釣りに出船します!探見丸smartも使用可能です。スマートフォンをお持ちの方はアプリをダウンロードして、是非お試しください!大さん弘漁丸オリジナルステッカーを乗船記念に限定配布します!初心者も大歓迎!皆様のお越しを心よりお待ちしております!
マダイ:1〜13枚 (0、3〜1、6キロ)
☆10月1日(水) テンヤ真鯛釣りに出船❗️❗️1、2キロの真鯛が最大で竿頭ツ抜け❗️明日も明後日も出船します❗️平日も毎日テンヤ真鯛釣りに出船します❗️週末土日のご予約もお早めに❗よろしくお願いします❗️☆
1、2キロが最大で竿頭真鯛12枚!!明日も明後日も出船します!週末もまだまだ空きあります!平日も毎日テンヤ真鯛釣りに出船します!週末のご予約お早めに!探見丸smartも使用可能です。スマートフォンをお持ちの方はアプリをダウンロードして、是非お試しください!大さん弘漁丸オリジナルステッカーを乗船記念に限定配布します!初心者も大歓迎!皆様のお越しを心よりお待ちしております!
マダイ:0〜12枚 (0、3〜1、2キロ)
☆9月30日(火) テンヤ真鯛釣りに出船❗️❗️3、0キロ、1、7キロ、1、5キロ、1、2キロ、1、1キロ、1キロ・・・の真鯛浮上で竿頭11枚❗2番手9枚❗️平日も毎日テンヤ真鯛釣りに出船します❗️❗️週末土日のご予約、お早めに❗よろしくお願いします❗️☆
3、0キロ、1、7キロ、1、5キロ、1、2キロ、1、1キロ、1キロ・・・の真鯛浮上で竿頭真鯛11枚!!平日も毎日テンヤ真鯛釣りに出船します!週末のご予約お早めに!探見丸smartも使用可能です。スマートフォンをお持ちの方はアプリをダウンロードして、是非お試しください!大さん弘漁丸オリジナルステッカーを乗船記念に限定配布します!初心者も大歓迎!皆様のお越しを心よりお待ちしております!
マダイ:1〜11枚 (0、3〜3、0キロ)
☆9月29日(月) テンヤ真鯛釣りに出船❗️❗️明日も出船します❗️まだまだ空きあります❗️10月1日(水)は大さん弘漁丸のチャーター船だけ出船します❗️平日も毎日テンヤ真鯛釣りに出船します❗️❗️週末土日のご予約、お早めに❗よろしくお願いします❗️☆
0、8キロの真鯛が最大で竿頭真鯛4枚!明日も出船します!平日も毎日テンヤ真鯛釣りに出船します!ご予約お早めに!探見丸smartも使用可能です。スマートフォンをお持ちの方はアプリをダウンロードして、是非お試しください!大さん弘漁丸オリジナルステッカーを乗船記念に限定配布します!初心者も大歓迎!皆様のお越しを心よりお待ちしております!
マダイ:0〜4枚 (0、3〜0、8キロ)
☆9月28日(日) テンヤ真鯛釣りに2隻で出船❗️❗️1キロの真鯛が最大でした❗️明日も出船します❗️平日も毎日テンヤ真鯛釣りに出船します❗️❗️週末土日のご予約、お早めに❗よろしくお願いします❗️❗️☆
1、0キロの真鯛が最大で竿頭真鯛7枚!明日も出船します!平日も毎日テンヤ真鯛釣りに出船します!ご予約お早めに!探見丸smartも使用可能です。スマートフォンをお持ちの方はアプリをダウンロードして、是非お試しください!大さん弘漁丸オリジナルステッカーを乗船記念に限定配布します!初心者も大歓迎!皆様のお越しを心よりお待ちしております!
マダイ:0〜7枚 (0、3〜1、0キロ)
☆9月27日(土) テンヤ真鯛釣りに出船❗️❗️4、1キロの真鯛浮上❗❗️ゲストも多彩❗️明日も出船します❗️平日も毎日テンヤ真鯛釣りに出船します❗️早めのご予約ありがたいです❗よろしくお願いします❗️☆
4、1キロの真鯛が最大で竿頭真鯛7枚!ゲストは多彩でカサゴ、ハタ、ヒラマサ、ワカシ、ウマヅラハギ、カンダイ、ハナダイ、アカメフグ、トラフグ、ヒラメ、イシダイ、イシガキダイ。明日も出船!平日も毎日テンヤ真鯛釣りに出船します!ご予約お早めに!探見丸smartも使用可能です。スマートフォンをお持ちの方はアプリをダウンロードして、是非お試しください!大さん弘漁丸オリジナルステッカーを乗船記念に限定配布します!初心者も大歓迎!皆様のお越しを心よりお待ちしております!
マダイ:0〜7枚 (0、3〜4、1キロ)
☆9月26日(金) テンヤ真鯛釣りに出船❗️❗️1、2キロ、1キロ・・・の真鯛浮上❗️明日も明後日もまだまだ予約受付中❗️平日も毎日テンヤ真鯛釣りに出船します❗️よろしくお願いします❗️❗️☆
1、2キロ、1キロ・・・の真鯛が最大で竿頭真鯛7枚!明日も明後日もまだ空きあります!平日も毎日テンヤ真鯛釣りに出船します!探見丸smartも使用可能です。スマートフォンをお持ちの方はアプリをダウンロードして、是非お試しください!大さん弘漁丸オリジナルステッカーを乗船記念に限定配布します!初心者も大歓迎!皆様のお越しを心よりお待ちしております!
マダイ:0〜7枚 (0、3〜1、2キロ)
☆9月25日(木) テンヤ真鯛釣りに出船❗️❗️2、8キロ、1、2キロ、1キロ・・・の真鯛浮上で竿頭真鯛11枚❗つ抜け❗️2番手、9枚❗️明日、空席沢山あります❗️週末もまだまだ予約受付中❗️平日も毎日テンヤ真鯛釣りに出船します❗️よろしくお願いします❗️☆
2、8キロ、1、2キロ、1キロ・・・の真鯛が最大で竿頭真鯛11枚!!2番手、9枚!明日は空き沢山あります!週末もまだまだ空席あります!平日も毎日テンヤ真鯛釣りに出船します!探見丸smartも使用可能です。スマートフォンをお持ちの方はアプリをダウンロードして、是非お試しください!大さん弘漁丸オリジナルステッカーを乗船記念に限定配布します!初心者も大歓迎!皆様のお越しを心よりお待ちしております!
マダイ:0〜11枚 (0、3〜2、8キロ)
☆9月23日(火) テンヤ真鯛釣りに出船❗️❗️1、3キロの真鯛浮上❗24日( 水)はお休みで25日(木)からまた出船します❗️平日も毎日テンヤ真鯛釣りに出船します❗️よろしくお願いします❗️☆
1、3キロの真鯛が最大で竿頭真鯛4枚!!明日はお休みします!明後日は空き沢山あります!平日も毎日テンヤ真鯛釣りに出船します!探見丸smartも使用可能です。スマートフォンをお持ちの方はアプリをダウンロードして、是非お試しください!大さん弘漁丸オリジナルステッカーを乗船記念に限定配布します!初心者も大歓迎!皆様のお越しを心よりお待ちしております!
マダイ:0〜4枚 (0、3〜1、3キロ)
☆9月21日(日) テンヤ真鯛釣りに2隻で出船❗️❗️23日(祝)もテンヤ真鯛釣りに出船します❗️24日( 水)はお休みで25日(木)はまた出船します❗️平日も毎日テンヤ真鯛釣りに出船します❗️よろしくお願いします❗️☆
2隻で出船!0、7キロの真鯛が最大で竿頭真鯛4枚!!明日はお休みします!明後日は空き沢山あります!平日も毎日テンヤ真鯛釣りに出船します!探見丸smartも使用可能です。スマートフォンをお持ちの方はアプリをダウンロードして、是非お試しください!大さん弘漁丸オリジナルステッカーを乗船記念に限定配布します!初心者も大歓迎!皆様のお越しを心よりお待ちしております!
マダイ:0〜4枚 (0、3〜0、7キロ)
☆9月20日(土) テンヤ真鯛釣りに2隻で出船❗️❗️1キロの真鯛が最大で竿頭8枚❗️明日も出船します❗️❗️平日も毎日テンヤ真鯛釣りに出船します❗️よろしくお願いします❗️☆
2隻で出船!1キロの真鯛が最大で竿頭真鯛8枚!!明日も出船します!平日も毎日テンヤ真鯛釣りに出船します!探見丸smartも使用可能です。スマートフォンをお持ちの方はアプリをダウンロードして、是非お試しください!大さん弘漁丸オリジナルステッカーを乗船記念に限定配布します!初心者も大歓迎!皆様のお越しを心よりお待ちしております!
マダイ:0〜8枚 (0、3〜1、0キロ)
☆9月17日(水) テンヤ真鯛釣りに2隻で出船❗️❗️20日(土)から出船します❗️21日(日)は弘漁丸(貸切船)、大さん弘漁丸(乗合船)❗️乗船者まだまだ募集中です❗️よろしくお願いします❗️☆
1キロの真鯛が最大で竿頭真鯛3枚!!週末まだまだ予約受付中!平日も毎日テンヤ真鯛釣りに出船します!探見丸smartも使用可能です。スマートフォンをお持ちの方はアプリをダウンロードして、是非お試しください!大さん弘漁丸オリジナルステッカーを乗船記念に限定配布します!初心者も大歓迎!皆様のお越しを心よりお待ちしております!
マダイ:0〜3枚 (0、3〜1、0キロ)
☆9月15日(月) テンヤ真鯛釣りに出船❗️❗️明日はお休みです❗️17日(水)からまた平日も毎日テンヤ真鯛釣りに出船します❗️早めのご予約ありがたいです❗️よろしくお願いします❗️☆
1キロの真鯛が最大で竿頭真鯛8枚!明日は休みで明後日からまた出船します!!予約受付中!平日も毎日テンヤ真鯛釣りに出船します!探見丸smartも使用可能です。スマートフォンをお持ちの方はアプリをダウンロードして、是非お試しください!大さん弘漁丸オリジナルステッカーを乗船記念に限定配布します!初心者も大歓迎!皆様のお越しを心よりお待ちしております!
マダイ:0〜8枚 (0、3〜1、0キロ)
☆9月14日(日) テンヤ真鯛釣りに2隻で出船❗️❗️明日も出船します❗️明後日はお休みです❗️17日(水)からまた平日も毎日テンヤ真鯛釣りに出船します❗️早めのご予約ありがたいです❗️よろしくお願いします❗️☆
2隻で出船!1キロの真鯛が最大で竿頭真鯛9枚!明日も出船します!まだ空席あります!予約受付中!平日も毎日テンヤ真鯛釣りに出船します!探見丸smartも使用可能です。スマートフォンをお持ちの方はアプリをダウンロードして、是非お試しください!大さん弘漁丸オリジナルステッカーを乗船記念に限定配布します!初心者も大歓迎!皆様のお越しを心よりお待ちしております!
マダイ:0〜9枚 (0、3〜1、0キロ)
☆9月13日(土) テンヤ真鯛釣りに2隻で出船❗️❗️5、2キロの大鯛浮上❗❗️竿頭真鯛7枚❗️明日は満席です❗️16日(火)はお休みです❗️平日も毎日テンヤ真鯛釣りに出船します❗️早めのご予約ありがたいです❗️よろしくお願いします❗️❗️☆
5、2キロの真鯛が最大で竿頭真鯛7枚!明日も出船します!15日(月)はまだまだ空席あります!予約受付中!平日も毎日テンヤ真鯛釣りに出船します!探見丸smartも使用可能です。スマートフォンをお持ちの方はアプリをダウンロードして、是非お試しください!大さん弘漁丸オリジナルステッカーを乗船記念に限定配布します!初心者も大歓迎!皆様のお越しを心よりお待ちしております!
マダイ:0〜7枚 (0、3〜5、2キロ)
☆9月8日(月) テンヤ真鯛釣りに出船❗️13日(土)、14日(日)は満席、15日(月)は6名様で大いに余裕あります❗️予約受付中です❗️平日も毎日テンヤ真鯛釣りに出船します❗️早めのご予約ありがたいです❗️よろしくお願いします❗️☆
0、8キロの真鯛が最大で竿頭真鯛5枚!15日(月)は空席沢山あります!予約受付中!平日も毎日テンヤ真鯛釣りに出船します!探見丸smartも使用可能です。スマートフォンをお持ちの方はアプリをダウンロードして、是非お試しください!大さん弘漁丸オリジナルステッカーを乗船記念に限定配布します!初心者も大歓迎!皆様のお越しを心よりお待ちしております!
マダイ:0〜5枚 (0、3〜0、8キロ)
☆9月7日(日) テンヤ真鯛釣りに出船❗️1、2キロが最大でした❗️明日も出船でまだまだ空きあります❗️平日も毎日テンヤ真鯛釣りに出船します❗️早めのご予約ありがたいです❗️よろしくお願いします❗️☆
1、2キロの真鯛が最大で竿頭真鯛5枚!大鯛バラシあり!明日もまた出船でまだまだ空席あります!!予約受付中!平日も毎日テンヤ真鯛釣りに出船します!探見丸smartも使用可能です。スマートフォンをお持ちの方はアプリをダウンロードして、是非お試しください!大さん弘漁丸オリジナルステッカーを乗船記念に限定配布します!初心者も大歓迎!皆様のお越しを心よりお待ちしております!
マダイ:0〜5枚 (0、3〜1、2キロ)
☆9月3日(水) テンヤ真鯛釣りに出船❗️❗️平日も毎日テンヤ真鯛釣りに出船します❗️早めのご予約ありがたいです❗️よろしくお願いします❗️☆
0、8キロの真鯛が最大で竿頭真鯛5枚!!外道豊富でした!明日はお休みします!日曜日からまた出船でまだまだ空席あります!!予約受付中!平日も毎日テンヤ真鯛釣りに出船します!探見丸smartも使用可能です。スマートフォンをお持ちの方はアプリをダウンロードして、是非お試しください!大さん弘漁丸オリジナルステッカーを乗船記念に限定配布します!初心者も大歓迎!皆様のお越しを心よりお待ちしております!
マダイ:1〜5枚 (0、3〜0、8キロ)
☆9月2日(火) テンヤ真鯛釣りに出船❗️明日も出船します❗️週末土日もまだまだ空席あります❗️❗️平日も毎日テンヤ真鯛釣りに出船です❗️早めのご予約ありがたいです❗️よろしくお願いします❗️☆
0、7キロの真鯛が最大で竿頭真鯛4枚!!外道豊富でした!明日も出船で週末土日もまだまだ空席あります!平日も毎日テンヤ真鯛釣りに出船します!予約受付中!探見丸smartも使用可能です。スマートフォンをお持ちの方はアプリをダウンロードして、是非お試しください!大さん弘漁丸オリジナルステッカーを乗船記念に限定配布します!初心者も大歓迎!皆様のお越しを心よりお待ちしております!
マダイ:0〜5枚 (0、3〜0、8キロ)
☆9月1日(月) テンヤ真鯛釣りに出船❗️❗️竿頭真鯛7枚❗️明日も出船します❗️平日も毎日テンヤ真鯛釣りに出船予定です❗️早めのご予約ありがたいです❗️よろしくお願いします❗️☆
0、8キロの真鯛が最大で竿頭真鯛7枚!!明日もまだまだ空きあります!平日も毎日テンヤ真鯛釣りに出船します!予約受付中!探見丸smartも使用可能です。スマートフォンをお持ちの方はアプリをダウンロードして、是非お試しください!大さん弘漁丸オリジナルステッカーを乗船記念に限定配布します!初心者も大歓迎!皆様のお越しを心よりお待ちしております!
マダイ:0〜7枚 (0、3〜0、8キロ)
☆8月31日(日) テンヤ真鯛釣りに2隻で出船❗️1、0キロの真鯛浮上❗️明日も出船します❗️平日も毎日テンヤ真鯛釣りに出船予定です❗️早めのご予約ありがたいです❗️よろしくお願いします❗️☆
2隻で出船!1、0キロの真鯛が最大で竿頭真鯛7枚!!明日も明後日もまだまだ空きあります!ご予約お早めに!平日も毎日テンヤ真鯛釣りに出船します!予約受付中!探見丸smartも使用可能です。スマートフォンをお持ちの方はアプリをダウンロードして、是非お試しください!大さん弘漁丸オリジナルステッカーを乗船記念に限定配布します!初心者も大歓迎!皆様のお越しを心よりお待ちしております!
マダイ:0〜7枚 (0、3〜1、0キロ)
☆8月30日(土) テンヤ真鯛釣りに出船❗️1、3キロの真鯛浮上❗️明日も出船します❗️平日も毎日テンヤ真鯛釣りに出船予定です❗️早めのご予約ありがたいです❗️よろしくお願いします❗️☆
1、3キロの真鯛が最大で竿頭真鯛4枚!!明日も明後日もまだ空きあります!ご予約お早めに!平日も毎日テンヤ真鯛釣りに出船します!予約受付中!探見丸smartも使用可能です。スマートフォンをお持ちの方はアプリをダウンロードして、是非お試しください!大さん弘漁丸オリジナルステッカーを乗船記念に限定配布します!初心者も大歓迎!皆様のお越しを心よりお待ちしております!
マダイ:0〜4枚 (0、3〜1、3キロ)
☆8月29日(金) テンヤ真鯛釣りに出船❗️今日は2、8キロの真鯛浮上❗️明日も明後日もまだ空きあります❗️平日も毎日テンヤ真鯛釣りに出船予定です❗️早めのご予約ありがたいです❗️よろしくお願いします❗️☆
2、8キロの真鯛が最大で竿頭真鯛5枚!!明日も明後日もまだ空きあります!ご予約お早めに!平日も毎日テンヤ真鯛釣りに出船します!予約受付中!探見丸smartも使用可能です。スマートフォンをお持ちの方はアプリをダウンロードして、是非お試しください!大さん弘漁丸オリジナルステッカーを乗船記念に限定配布します!初心者も大歓迎!皆様のお越しを心よりお待ちしております!
マダイ:0〜5枚 (0、3〜2、8キロ)
☆8月28日(木) テンヤ真鯛釣りに出船❗️❗️今日は1、8キロの真鯛浮上❗️明日もまだ空席あります❗️予約受付中❗️平日も毎日テンヤ真鯛釣りに出船予定です❗️早めのご予約ありがたいです❗️よろしくお願いします❗️❗️☆
1、8キロの真鯛が最大で竿頭真鯛7枚!!明日もまだ空きあります!週末土日のご予約お早めに!平日も毎日テンヤ真鯛釣りに出船します!予約受付中!探見丸smartも使用可能です。スマートフォンをお持ちの方はアプリをダウンロードして、是非お試しください!大さん弘漁丸オリジナルステッカーを乗船記念に限定配布します!初心者も大歓迎!皆様のお越しを心よりお待ちしております!
マダイ:0〜7枚 (0、3〜1、8キロ)
☆8月27日(水) テンヤ真鯛釣りに出船❗️❗️4、0キロの真鯛が最大で竿頭9枚❗️明日も明後日もまだまだ空席あります❗️予約受付中❗️平日も毎日テンヤ真鯛釣りに出船予定です❗️早めのご予約ありがたいです❗️よろしくお願いします❗️❗️☆
4、0キロの真鯛が最大で竿頭真鯛9枚!!明日も明後日もまだまだ空きあります!週末土日のご予約お早めに!平日も毎日テンヤ真鯛釣りに出船します!予約受付中!探見丸smartも使用可能です。スマートフォンをお持ちの方はアプリをダウンロードして、是非お試しください!大さん弘漁丸オリジナルステッカーを乗船記念に限定配布します!初心者も大歓迎!皆様のお越しを心よりお待ちしております!
マダイ:0〜9枚 (0、3〜4、0キロ)
☆8月26日(火) テンヤ真鯛釣りに出船❗️❗️2、4キロの真鯛が最大でした❗️明日も明後日もまだまだ空席あります❗️予約受付中❗️平日も毎日テンヤ真鯛釣りに出船予定です❗️早めのご予約ありがたいです❗️よろしくお願いします❗️❗️☆
2、4キロ、1、1キロ、1キロ・・・の真鯛が最大で竿頭真鯛9枚!!明日も明後日もまだまだ空きあります!週末土日のご予約お早めに!平日も毎日テンヤ真鯛釣りに出船します!予約受付中!探見丸smartも使用可能です。スマートフォンをお持ちの方はアプリをダウンロードして、是非お試しください!大さん弘漁丸オリジナルステッカーを乗船記念に限定配布します!初心者も大歓迎!皆様のお越しを心よりお待ちしております!
マダイ:0〜9枚 (0、3〜2、4キロ)
☆8月25日(月) テンヤ真鯛釣りに出船❗️❗️1、0キロの真鯛が最大でした❗️明日も明後日もまだまだ空席あります❗️予約受付中❗️平日も毎日テンヤ真鯛釣りに出船予定です❗️早めのご予約ありがたいです❗️よろしくお願いします❗️❗️☆
1、0キロの真鯛が最大で竿頭真鯛4枚!!明日も明後日もまだまだ空きあります!週末土日のご予約お早めに!平日も毎日テンヤ真鯛釣りに出船します!予約受付中!探見丸smartも使用可能です。スマートフォンをお持ちの方はアプリをダウンロードして、是非お試しください!大さん弘漁丸オリジナルステッカーを乗船記念に限定配布します!初心者も大歓迎!皆様のお越しを心よりお待ちしております!
マダイ:0〜4枚 (0、3〜1、0キロ)
☆8月24日(日) テンヤ真鯛釣りに出船❗️❗️3、6キロ、1、5キロ・・・の真鯛浮上❗一昨日は6、0キロの真鯛GET❗️明日も出船します❗️予約受付中❗️平日も毎日テンヤ真鯛釣りに出船予定です❗️早めのご予約ありがたいです❗️よろしくお願いします❗️☆
3、6キロ、1、5キロ・・・の真鯛が最大で竿頭真鯛7枚!!2番手、6枚!!明日も明後日もまだまだ空きあります!平日も毎日テンヤ真鯛釣りに出船します!予約受付中!探見丸smartも使用可能です。スマートフォンをお持ちの方はアプリをダウンロードして、是非お試しください!大さん弘漁丸オリジナルステッカーを乗船記念に限定配布します!初心者も大歓迎!皆様のお越しを心よりお待ちしております!
マダイ:0〜7枚 (0、3〜3、6キロ)
☆8月23日(土) テンヤ真鯛釣りに出船❗️❗️明日も明後日もまだまだ空席あります❗️予約受付中❗️平日も毎日テンヤ真鯛釣りに出船予定です❗️早めのご予約ありがたいです❗️よろしくお願いします❗️☆
0、8キロの真鯛が最大で竿頭真鯛5枚!!明日も明後日も空きあります!平日も毎日テンヤ真鯛釣りに出船します!予約受付中!探見丸smartも使用可能です。スマートフォンをお持ちの方はアプリをダウンロードして、是非お試しください!大さん弘漁丸オリジナルステッカーを乗船記念に限定配布します!初心者も大歓迎!皆様のお越しを心よりお待ちしております!
マダイ:0〜5枚 (0、3〜0、8キロ)
☆8月22日(金) テンヤ真鯛釣りに出船❗️❗️6、0キロの真鯛浮上❗️ありが鯛っ❗️明日もまだ空きあります❗️25日(日)は9名様のご予約です❗️まだまだ予約受付中です❗️早めのご予約ありがたいです❗️よろしくお願いします❗️☆
6キロの真鯛が最大で竿頭真鯛8枚!外道は根魚主体でした!明日も明後日も空きあります!毎日テンヤ真鯛釣りに出船します!週末土日はまだ空席沢山あります!予約受付中!探見丸smartも使用可能です。スマートフォンをお持ちの方はアプリをダウンロードして、是非お試しください!大さん弘漁丸オリジナルステッカーを乗船記念に限定配布します!初心者も大歓迎!皆様のお越しを心よりお待ちしております!
マダイ:0〜8枚 (0、3〜6、0キロ)
☆8月21日(木) テンヤ真鯛釣りに出船❗️❗️1、2キロ、1キロ・・・の真鯛浮上❗️竿頭真鯛8枚❗️明日も出船します❗️週末土日もまだまだ空き沢山あります❗️予約受付中❗️よろしくお願いします❗️☆
1、2キロの真鯛が最大で竿頭真鯛8枚!外道は根魚主体でした!明日も毎日テンヤ真鯛釣りに出船します!週末土日はまだ空席沢山あります!予約受付中!探見丸smartも使用可能です。スマートフォンをお持ちの方はアプリをダウンロードして、是非お試しください!大さん弘漁丸オリジナルステッカーを乗船記念に限定配布します!初心者も大歓迎!皆様のお越しを心よりお待ちしております!
マダイ:0〜8枚 (0、3〜1、2キロ)
☆8月20日(水) テンヤ真鯛釣りに出船❗️❗️2、5キロ、2、1キロ・・・の真鯛浮上❗️竿頭真鯛9枚❗️明日も明後日も出船します❗️週末土日もまだまだ空き沢山あります❗️予約受付中❗️お問い合わせください❗️よろしくお願いします❗️☆
2、5キロ、2、1キロ・・・の真鯛が最大で竿頭真鯛9枚!2番手7枚!外道は根魚主体でした!明日も明後日も毎日テンヤ真鯛釣りに出船!週末土日はまだ空き多数あります!予約受付中!探見丸smartも使用可能です。スマートフォンをお持ちの方はアプリをダウンロードして、是非お試しください!大さん弘漁丸オリジナルステッカーを乗船記念に限定配布します!初心者も大歓迎!皆様のお越しを心よりお待ちしております!
マダイ:0〜9枚 (0、3〜2、5キロ)
☆8月19日(火) テンヤ真鯛釣りに出船❗️❗️1、3キロ、1キロ・・・の真鯛浮上❗️今後も期待❗️明日も毎日出船します❗️空き多数あります❗️予約受付中❗️早めのご予約ありがたいです❗️お問い合わせください❗️よろしくお願いします❗️☆
1、3キロの真鯛が最大で竿頭真鯛4枚!外道は根魚主体でした!明日も明後日も毎日テンヤ真鯛釣りに出船します!予約受付中!探見丸smartも使用可能です。スマートフォンをお持ちの方はアプリをダウンロードして、是非お試しください!大さん弘漁丸オリジナルステッカーを乗船記念に限定配布します!初心者も大歓迎!皆様のお越しを心よりお待ちしております!
マダイ:0〜4枚 (0、3〜1、3キロ)
☆8月17日(日) テンヤ真鯛釣りに出船❗️❗️0、9キロの真鯛が最大で竿頭真鯛8枚❗️明日は休みで19日(火)からまた出船します❗️来週平日空き多数あります❗️予約受付中❗️早めのご予約ありがたいです❗️お問い合わせください❗️よろしくお願いします❗️☆
0、9キロの真鯛が最大で竿頭真鯛8枚!外道は根魚主体でした!明日は休みで明後日からまた出船!空席多数あります!平日も毎日テンヤ真鯛釣りに出船します!予約受付中!探見丸smartも使用可能です。スマートフォンをお持ちの方はアプリをダウンロードして、是非お試しください!大さん弘漁丸オリジナルステッカーを乗船記念に限定配布します!初心者も大歓迎!皆様のお越しを心よりお待ちしております!
マダイ:0〜8枚 (0、3〜0、9キロ)
☆8月16日(土) テンヤ真鯛釣りに出船❗️❗️1、0キロの真鯛が最大でした❗️明日も出船します❗️明後日は休みで19日(火)からまた出船します❗️予約受付中です❗️早めのご予約ありがたいです❗️お問い合わせください❗️よろしくお願いします❗️☆
1、0キロの真鯛が最大で竿頭真鯛4枚!外道は根魚主体でした!明日は空席多数あります!平日も毎日テンヤ真鯛釣りに出船します!予約受付中!探見丸smartも使用可能です。スマートフォンをお持ちの方はアプリをダウンロードして、是非お試しください!大さん弘漁丸オリジナルステッカーを乗船記念に限定配布します!初心者も大歓迎!皆様のお越しを心よりお待ちしております!
マダイ:0〜4枚 (0、3〜1、0キロ)
☆8月15日(金) テンヤ真鯛釣りに出船❗️❗️明日もテンヤ真鯛釣りに出船します❗️17日(日)はガラガラ空きあります❗️予約受付中です❗️早めのご予約ありがたいです❗️よろしくお願いします❗️☆
0、7キロの真鯛が最大で竿頭真鯛3枚!外道は根魚主体でした!明日も出船します!17日(日)はキャンセルもあり空席多数あります!平日も毎日テンヤ真鯛釣りに出船します!予約受付中!探見丸smartも使用可能です。スマートフォンをお持ちの方はアプリをダウンロードして、是非お試しください!大さん弘漁丸オリジナルステッカーを乗船記念に限定配布します!初心者も大歓迎!皆様のお越しを心よりお待ちしております!
マダイ:0〜3枚 (0、3〜0、7キロ)
☆8月14日(木) テンヤ真鯛釣りに出船❗️❗️明日もテンヤ真鯛釣りに出船します❗️17日(日)はガラガラ空きあります❗️予約受付中です❗️早めのご予約ありがたいです❗️よろしくお願いします❗️☆
0、9キロの真鯛が最大で竿頭真鯛5枚!外道は根魚主体でした!明日も出船します!17日(日)はキャンセルもあり空席多数あります!平日も毎日テンヤ真鯛釣りに出船します!予約受付中!探見丸smartも使用可能です。スマートフォンをお持ちの方はアプリをダウンロードして、是非お試しください!大さん弘漁丸オリジナルステッカーを乗船記念に限定配布します!初心者も大歓迎!皆様のお越しを心よりお待ちしております!
マダイ:0〜5枚 (0、3〜0、9キロ)
☆8月13日(水) テンヤ真鯛釣りに出船❗️❗️明日もお盆も休まずテンヤ真鯛釣りに出船します❗️予約受付中です❗️❗️早めのご予約ありがたいです❗️よろしくお願いします❗️❗️☆
0、7キロの真鯛が最大で竿頭真鯛3枚!外道は根魚主体でした!明日も明後日もお盆も毎日テンヤ真鯛釣りに出船します!予約受付中!探見丸smartも使用可能です。スマートフォンをお持ちの方はアプリをダウンロードして、是非お試しください!大さん弘漁丸オリジナルステッカーを乗船記念に限定配布します!初心者も大歓迎!皆様のお越しを心よりお待ちしております!
マダイ:0〜3枚 (0、3〜0、7キロ)
☆8月12日(火) テンヤ真鯛釣りに出船❗️❗️明日もお盆も休まずテンヤ真鯛釣りに出船します❗️予約受付中です❗️❗️早めのご予約ありがたいです❗️よろしくお願いします❗️❗️☆
0、8キロの真鯛が最大で竿頭真鯛5枚!外道は根魚主体でした!明日も明後日もお盆も毎日テンヤ真鯛釣りに出船します!!探見丸smartも使用可能です。スマートフォンをお持ちの方はアプリをダウンロードして、是非お試しください!大さん弘漁丸オリジナルステッカーを乗船記念に限定配布します!初心者も大歓迎!皆様のお越しを心よりお待ちしております!
マダイ:0〜5枚 (0、3〜0、8キロ)
☆スパリゾートハワイアンズ一泊宿泊券プレゼント(マダイ船宿レコード更新で❗️)☆
☆ハワイ旅行プレゼント (ヒラメ船宿レコード更新で)☆
12月1日解禁からのヒラメ釣りで
船宿レコード(100㎝または11.2㎏)
更新された方
ハワイ旅行ご招待!!!
〒319-1222 茨城県日立市久慈町1-1-2 弘漁丸
☆過去の記録保持者
2018年7月2日 真鯛(10.32キロ)
石岡市 平沢さん
茨城県日立港(久慈漁港)の釣り船
弘漁丸




























































































































































































































































































































































































































































































































































































































































































































































































































































































































































